- Accueil
- Blog
- Cyclones du passé
- Cyclones du passé
Cyclones du passé
Retour sur les cyclones du passé dans l'océan indien (histoires, témoignages ou statistiques).
Retour sur les cyclones du passé dans l'océan indien (histoires, témoignages ou statistiques).

Rétro cyclone : 7 avril 1945, le coup de grâce pour La Réunion
07/04/2025
Le 7 avril 1945, La Réunion était frappée par un cyclone dévastateur, un événement tragique qui s'inscrivait dans une période déjà éprouvante pour l'île. Au sortir de la Seconde Guerre mondiale, et toujours sous le poids des conséquences du cyclone d'avril 1944, la population réunionnaise, affaiblie par le blocus maritime britannique, se retrouvait à nouveau confrontée à la fureur des éléments.

Rétro cyclone : CTI MARLENE, saison 1994/95
05/04/2025
Il y a 30 ans, le cyclone tropical intense MARLENE concluait de manière spectaculaire l’active saison cyclonique 1994/1995 du Sud-Ouest océan indien. Système le plus puissant de la saison, le cyclone s’est fait remarquer par une cyclogenèse explosive et une intensité remarquable. Le phénomène a évolué sur le bassin du 31 mars au 11 avril 1995. Fort heureusement, MARLENE est resté loin de toute terre habitée.

Le top 3 des cyclones mémorables du mois d’avril
03/04/2025
Avec le mois d’avril, le Sud-Ouest océan indien est entré dans une longue phase de transition, qui nous mènera vers l’hiver austral. Bien que le potentiel d’activité diminue, certains cyclones d’avril ont marqué l’histoire cyclonique du bassin. Voici les 3 cyclones que nous considérons comme les plus marquants du mois d’avril pour le Sud-Ouest océan indien.

Février 1975, le cyclone intense Gervaise mit à genoux l'île Maurice
18/02/2025
Le 06 février 1975, le cyclone Gervaise laissa une emprunte indélébile dans la mémoire des mauriciens. Revenons en détails et chronologiquement sur cet épisode cyclonique marquant du bassin sud-Ouest de l'océan indien.

ALBERTINE, une inhabituelle menace pour les Mascareignes
31/10/2024
Il y a 30 ans, la saison cyclonique 1994/1995 démarra en trombe avec ALBERTINE. Cyclone intense et menace directe pour les Mascareignes, voilà un événement particulièrement atypique pour un mois de novembre. Retour sur un épisode qui pose des questions.

Il y a 10 ans jour pour jour le cyclone Bejisa secouait La Réunion
02/01/2024
Le 2 janvier 2014, le cyclone tropical Bejisa circulait à moins de 50 km des côtes Sud-Ouest de La Réunion. Certains secteurs de l’île ont essuyé à cette occasion des conditions cycloniques significatives.

Quand un ouragan découvre une collection exceptionnelle de Ferrari
13/06/2023
En 2004, l’ouragan Charley frappait la Floride. Sur son périple destructeur, une grange s’effondre dévoilant une incroyable collection de Ferrari. Suite à cette découverte inattendue, les précieuses et rarissimes voitures resteront cachées pendant près de 20 ans.

05/05/2023
Il y a 20 ans, le système tropical Manou rappelait que des tempêtes et cyclones en mai, c’est possible. L’événement est d’autant plus marquant que Madagascar en sera victime.

18/04/2023
Il y a 5 ans, La Réunion vivait un épisode cyclonique inattendu qui ébranla pas mal de certitudes. Retour sur cet événement qui continue de hanter bien des esprits à ce jour.

11/01/2023
Il y a 30 ans, les réunionnais voyaient pour la dernière fois l'œil d’un cyclone. Colina est le dernier phénomène dont la zone de calme centrale soit directement passée sur l’île de La Réunion. Voici le récit de cet événement cyclonique.

Un héros de guerre aux commandes du service météorologique de Madagascar de 1946 à 1961
14/06/2022
Jacques Ravet, qui fut directeur du service météorologique de Madagascar de 1946 à 1961, était un héros de la Seconde Guerre mondiale. Il fit partie de ceux qui répondirent à l'appel du 18 juin 1940, lancé par le général de Gaulle. Retour sur un parcours à la fois atypique et héroïque, qui mérite d'être raconté.

Kuena, la dernière tempête en plein mois de juin dans l'océan indien Sud-Ouest
01/06/2022
Observer une tempête tropicale en plein mois de juin dans l'océan indien Sud-Ouest c'est rare, mais ça arrive. Le dernier cas date d'il y a 10 ans avec la tempête tropicale Kuena.

Activité suspecte localisée au Nord Nord-Ouest de Saint-Brandon
20/01/2022
Une circulation dépressionnaire est visible au Nord Nord-Ouest de Saint-Brandon. Celle-ci pourrait être le point de départ de la future cyclogenèse suggérée par les modèles de prévisions depuis plusieurs jours.

Saisons cycloniques tardives, se méfier de l'eau qui dort !
05/01/2022
Saviez-vous que les trois saisons cycloniques ayant démarré au mois de Janvier ne furent pas forcément de tout repos. Voici un petit rappel pour réactiver les esprits qui se seraient démobiliser avec ce début de saison 2021/2022 comateux.

Il y a 30 ans, un cyclone causa la mort de plus de 138 000 personnes au Bangladesh
29/04/2021
Dans la nuit du 29 au 30 Avril 1991, un violent cyclone s'abat sur le Bangladesh. Une effroyable marée de tempête accompagne ce météore, engendrant une horrible catastrophe humaine.

Maurice : 60 ans après, le cyclone Carol hante toujours les esprits
28/02/2020
28 Février 2020 - Cela fait 60 ans que le cyclone Carol hante la mémoire des mauriciens. Cet épisode cyclonique aura tant marqué, qu'un Séga sera même composé pour exprimer la souffrance des habitants de Maurice suite au passage de ce cyclone.

Eline, ce cyclone qui a parcouru 11 000 km et d'une durée de vie de 1 mois
22/02/2020
22 Février 2020 : Il y a 20 ans jour pour jour, le cyclone intense Eline frappait le Mozambique, causant une des pires catastrophes de l'histoire de ce pays. Ce cyclone qui a tué à Madagascar et en Afrique, a parcouru 11 000 km avec une durée de vie exceptionnelle de 29 jours.

Francisco, une trajectoire atypique similaire à Edwige en Février 1996
11/02/2020
11 Février 2020 : Les restes de la tempête Francisco dérivent dans l'océan indien suivant un parcours atypique qui l'a ramené à proximité de Maurice et la Réunion. Un parcours atypique qui présente des similitudes avec le cyclone Edwige en Février 1996.

Hyacinthe, le cyclone qui fit tomber le ciel sur la Réunion
17/01/2020
17 Janvier 2020 : Il y a 40 ans, jour pour jour, un faible système dépressionnaire est baptisé Hyacinthe au Nord-Est de la Réunion. Ce phénomène à la trajectoire folle, châtiera l'île à coup de pluies diluviennes et meurtrières. Retour sur un des événements cycloniques les plus improbables et tragiques de la Réunion.

IDYLLE un magnifique cyclone qui évolua il y a 40 ans dans l'océan indien Sud
12/04/2019
12 Avril 2019 - Il y a 40 ans, le cyclone tropical intense IDYLLE évoluait dans l'océan indien Sud. Ce système conclut en beauté la saison cyclonique 1978/1979.

La saison où l'île Rodrigues fut frappée par 4 cyclones!
25/03/2019
25 Mars 2019 - La saison cyclonique 1972/1973 fut exceptionnelle pour l'île Rodrigues qui subit l'impact direct de 4 cyclones tropicaux au cours d'une même saison.

Mon top 3 des cyclones marquants du Canal du Mozambique
11/03/2019
11 Mars 2019 - L'épisode cyclonique IDAI m'a donné l'idée de vous présenter mon top 3 des cyclones tropicaux marquants du Canal du Mozambique au cours des 20 dernières années.

Il y a 55 ans, la Réunion subissait les affres du cyclone GISELLE
28/02/2019
28 Février 2019 - Il y a 55 ans, l'île de la Réunion était secouée par le cyclone tropical GISELLE. De violentes rafales et des pluies torrentielles sont observées sur le département.

Cyclone tropical HOLLANDA (1994) à Maurice, 25 ans déjà!
09/02/2019
09 Février 2019 - Il y a 25 ans, le cyclone tropical intense HOLLANDA se dirigeait vers Maurice. Ce sera un des impacts cycloniques les plus marquants de l'histoire de l'île.

Cyclone CELINE (1979) : Revirement de situation et désastre pour Rodrigues
01/02/2019
01 Février 2019 - Il y a 40 ans débutait l'épisode CELINE, marqué par un revirement de situation qui aboutira sur un des impacts cycloniques les plus violents de l'histoire de Rodrigues.

FIRINGA : Il y a 30 ans, la Réunion vivait un des pires cyclones de son histoire
28/01/2019
Le 29 Janvier 1989, le cyclone tropical FIRINGA frappe la Réunion de plein fouet qui subit alors un des pires cyclones de son histoire

Il y a 55 ans, le cyclone DANIELLE approchait et Maurice passait en Alerte I
17/01/2019
Il y a 55 ans jour pour jour, le vendredi 17 Janvier 1964, Maurice passait en Alerte I à 14h. Le cyclone tropical DANIELLE frappera l'île 72h plus tard.

CALASANJY, un des pires cyclones de la côte Ouest de Madagascar
11/01/2019
Il y a 30 ans, le canal du Mozambique s'animait avec la naissance du cyclone CALANSANJY qui frappera de plein fouet les côtes Ouest de Madagascar.

Il y a 45 ans, ESMERALDA provoquait des pluies diluviennes sur la Réunion
08/01/2019
Alors que la Réunion vient de subir un épisode pluvio-orageux significatif, il y a 45 ans en Janvier 1974, l'île subissait également des pluies diluviennes.

L'année 1979 commençait mal pour la Réunion avec le cyclone BENJAMINE
03/01/2019
Il y a 40 ans, débutait l'épisode BENJAMINE qui finira par un passage à proximité immédiate des côtes Est de l'île de la Réunion au début du mois de Janvier 1979.

Historique du système d'alerte cyclonique à la Réunion
17/10/2018
Le système d'alerte cyclonique de la Réunion va-t-il changer? Avant une éventuelle réforme, retraçons l'histoire de l'alerte cyclonique à la Réunion.

BERNADETTE, un des rares cyclones d'octobre de l'océan indien sud-ouest
17/10/2018
Savez-vous qu'il y a 45 ans jour pour jour, en plein mois d'octobre, un cyclone tropical évoluait dans l'océan indien sud-ouest?

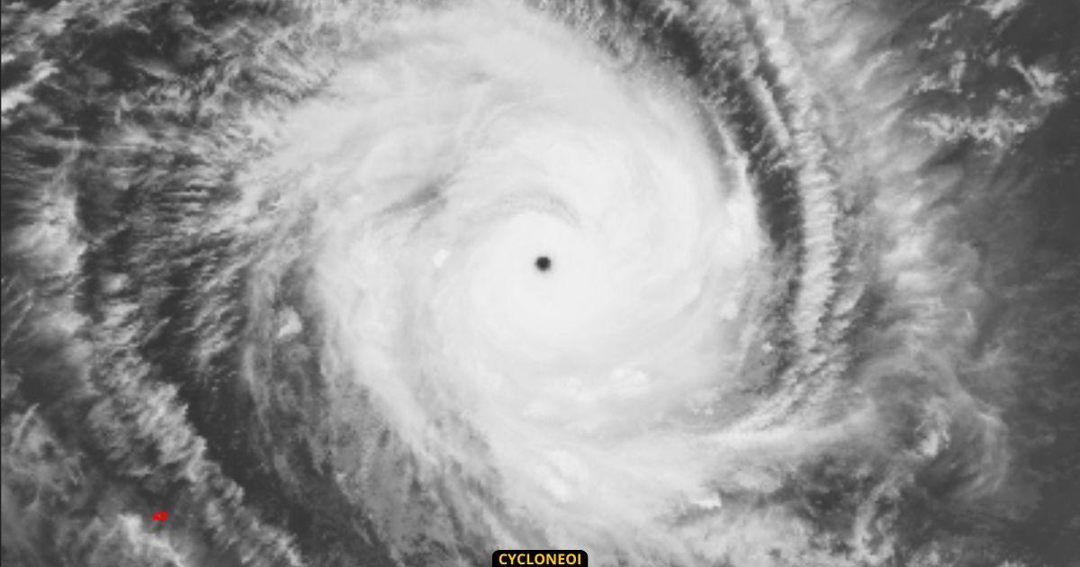
20 ans de cyclone en image haute résolution
16/06/2018
Depuis près de 20 ans, de puissants instruments d'observations installés abord des satellites TERRA et AQUA, permettent de disposer d'images quotidiennes en haute résolution de l'ensemble du globe. Voici une sélection de cyclones tropicaux du sud-ouest de l'océan indien capturés par ces satellites.

Les tempêtes tropicales du mois de juin dans l'océan indien sud-ouest
15/06/2018
Le mois de juin est bien entamé dans l'océan indien sud-ouest et l'hiver austral s'installe. Si cette année ce mois s'annonce vierge de toutes cyclogenèses, il n'en a pas toujours été ainsi. Bien que rarissime, il est déjà arrivé que des tempêtes tropicales se forment durant le mois de juin dans ce bassin cyclonique.

Cyclone NARGIS, une terrible catastrophe
06/05/2018
Le mois de mai 2008 fut marqué par le terrible cyclone NARGIS dans l'océan indien nord. Il y a 10 ans, le 2 mai 2008, la Birmanie vivait la pire catastrophe naturelle de son histoire. Ce cyclone de début de saison a selon les chiffres officiels été à l'origine de la mort et la disparition de plus de 130.000 personnes.

Il y a 50 ans le terrible cyclone MONIQUE balaya l'île Rodrigues
04/04/2018
Il y a 50 ans, au cours de la saison cyclonique 1967/1968, le cyclone tropical MONIQUE marqua l'histoire du bassin sud-ouest de l'océan indien. Une pression minimum record de 933 hpa, ainsi qu'une rafale de 278 km/h, seront relevées à l'île Rodrigues impactée par cet impressionnant phénomène.

20/03/2018
Personne ou presque ne se souvient de GASITAO. Pourtant, il s'agit officiellement du cyclone le plus puissant du bassin sud-ouest de l'océan indien, au cours de ces 40 dernières années. Retour sur ce phénomène exceptionnel qui a évolué dans ce bassin il y a 30 ans en mars 1988.

Le cyclone tropical intense IVAN balayait Madagascar il y a 10 ans
21/02/2018
Il y a 10 ans, lors de la saison cyclonique 2007/2008, le bassin sud-ouest de l'océan indien était en mode actif. Contrairement à cette année, le mois de février 2008 était le théâtre d'une activité cyclonique significative, matérialisée par les cyclones HONDO et surtout IVAN qui frappa de plein fouet l'île Sainte-Marie.

8 février 1998, ANACELLE devenait le système baptisé le plus tardivement
08/02/2018
Il y a 20 ans jour pour jour, ANACELLE entrait dans l'histoire du bassin sud-ouest de l'océan indien. Lors de la saison cyclonique 1997/1998, il aura fallu attendre le 8 février pour que soit baptisé le premier système de cette saison. Un record de démarrage tardif le pensait-on à l'époque.

Les cyclones à œil large célèbres du bassin sud-ouest
31/01/2018
Le somptueux œil du cyclone tropical CEBILE lui donne une allure majestueuse. Bien que rare, CEBILE n'est pas le seul cyclone dans l'histoire du bassin à avoir présenté un œil extra large. Revenons sur ces cyclones du sud-ouest de l'océan indien rendus célèbres par la largeur de leurs yeux.

26-27 janvier 1948, le cyclone du siècle à la Réunion
26/01/2018
Il y a 70 ans, la Réunion vivait avec le cyclone 48 son "BIG ONE". A l'aide des archives, nous avons reconstitué la chronologie de cet épisode cyclonique exceptionnel en raison de l'ampleur du désastre provoqué sur l'île. Voici le déroulement détaillé des événements du si tristement célèbre CYCLONE 48.

Top 5 des faits marquants de 2017 dans l'océan indien
29/12/2017
L'année 2017 va bientôt tirer sa révérence. Comme à chaque fin d'année, nous vous proposons notre top 5 des événements cycloniques ou météorologiques de l'océan indien qui nous ont marqué en 2017. Autant vous dire que nous n'avions pas beaucoup de choix cette année.

Les cyclones de Noël dans l'océan indien sud-ouest
23/12/2017
Plus que quelques heures avant les festivités de Noël! Plus que quelques heures pour les derniers achats et préparatifs pour que la fête soit belle. Sauf que parfois dans l'océan indien sud-ouest, il peut arriver qu'un imprévu vienne tout gâcher. Retour sur les cyclones qui se sont invités à Noël.

Les cyclones du mois de décembre dans l'océan indien sud-ouest
14/12/2017
Le mois de décembre représente la fin de l'intersaison débutée au mois de septembre dans l'hémisphère sud. C'est également au cours de ce mois, qu'on assiste généralement à une forme de montée en puissance de l'activité cyclonique et une augmentation du risque cyclonique pour les populations du bassin sud-ouest.

Les cyclones du mois de novembre dans l'océan indien sud-ouest
19/11/2017
Novembre est la période de démarrage officielle de la saison cyclonique dans quasiment l'ensemble des pays du sud de l'océan indien. C'est durant ce mois que naissent généralement les premiers systèmes de la saison, avec parfois des phénomènes pouvant déjà atteindre des intensités remarquables.

Les cyclones du mois d'octobre dans l'océan indien sud-ouest
06/10/2017
Dans l'océan indien sud, c'est généralement à partir du mois d'octobre que les conditions deviennent progressivement propices à la cyclogenèse. Aussi loin que les archives le permettent, voyons ensemble les systèmes qui ont évolué dans l'océan indien sud-ouest durant le mois d'octobre.

Quand les navires remplaçaient les satellites
28/09/2017
En cette journée mondiale de la mer, rendons hommage aux navires qui participent à l'observation météorologique mondiale et cela depuis bien avant l'arrivée des satellites. L'histoire du cyclone de février 1860 dans l'océan indien sud-ouest en est une illustration parfaite.

Les tempêtes du mois de septembre dans l'océan indien sud-ouest
02/09/2017
Le mois dernier, nous avons vu ensemble que le mois d'août était plutôt avare en cyclogenèse dans le bassin sud-ouest de l'océan indien. Aujourd'hui, focus sur le mois de septembre qui en météorologie correspond au début du printemps dans l'hémisphère sud, et sonne comme étant le début de l'intersaison.

Les systèmes du mois d’août dans l'océan indien sud-ouest
19/08/2017
En théorie, l'hiver austral n'est pas propice à la formation de tempête tropicale dans le bassin sud-ouest de l'océan indien. Cependant, nous savons que dans la pratique, bien que rare, il existe des exceptions avec des cyclogenèses et baptêmes durant le mois de juillet. Qu'en est-il alors du mois d'août?

Les cyclones un danger pour les navires circulant dans l'océan indien
09/07/2017
La saison cyclonique 1980/1981 de l'océan indien sud commence fort avec le cyclone intense ALICE. Si le phénomène a évolué au milieu de l'océan et loin de toutes terres habitées, ALICE n'aura pas été sans conséquence. Des navires de pêches se sont faits piéger par une mer démontée, provoquée par le cyclone.

19 mai 1997, un cyclone fatal au Bangladesh
19/05/2017
Il y a 20 ans jour pour jour, le Bangladesh était directement impacté par un violent cyclone, causant la mort de plusieurs milliers de personnes. Le mois de mai est généralement synonyme de retour de l'activité cyclonique dans l'océan indien nord. Le cyclone 01B lança la saison cyclonique 1997 de façon dramatique.

Les cyclones du mois de mai dans l'océan indien sud-ouest
12/05/2017
Les températures se font plus fraîches dans l'océan indien sud-ouest, signe que l'été perd petit à petit du terrain face à l'hiver. Durant cette période d'intersaison, même si l'hiver commence à s'imposer, il est encore possible d'assister à des cyclogenèses tardives durant le mois de mai.

ODETTE une tempête tropicale en plein hiver 1971
07/04/2017
La tempête tropicale ABELA est ce qu'on appelle un système hors saison, dans la mesure ou elle a évolué en plein hiver 2016. Cette situation inhabituelle s'est déjà produite par le passé. Parmi ces systèmes d'hors saison, il y a la tempête tropicale ODETTE, née en plein mois de juillet 1971 au nord-est des Mascareignes.

Il y a 10 ans le cyclone GAMEDE concernait les Mascareignes
22/02/2017
GAMEDE, un nom qui a de la gueule, tout comme le cyclone qui l'a porté au cours de la saison 2006/2007. Il y a 10 ans, le massif et imposant cyclone GAMEDE, concernait les Mascareignes. La Réunion a particulièrement été impactée avec 2 passages à proximité. Les précipitations enregistrées et les dégâts observés rappellent l'épisode HYACINTHE en 1980.

CLOTILDA, un douloureux Vendredi 13 Février 1987
13/02/2017
Il y a 30 ans jour pour jour le cyclone CLOTILDA balayait la Réunion après l'avoir copieusement arrosé. Cet épisode cyclonique fut un événement particulièrement marquant de l'île. Les dégâts furent considérables tant en raison du vent que des pluies. Retour dans le passé avec des images d'archives.

08/02/2017
Il y a 30 ans, se creusait silencieusement un minimum au large des côtes Est de Madagascar. A cet instant, alors que la saison 1986/87 était marquée par une activité cyclonique anormalement faible, personne ne se doutait qu'on assistait là aux prémices d'une catastrophe qui marquera les Réunionnais. Nous avons décidé de commémorer les 30 ans du passage de CLOTILDA à la Réunion en revenant sur le déroulement des évènements.

Il y a 15 ans DINA balayait l'île Maurice et la Réunion
21/01/2017
Il y a 15 ans, les îles soeurs subissaient les assauts du puissant cyclone DINA. Ce météore par l'ampleur des dégâts provoqués et par les conditions cycloniques générées fait partie des cyclones marquants de l'histoire de Maurice et de la Réunion. Retour sur cet épisode.

Les 4 derniers 14 janvier dans le bassin sud-ouest
14/01/2017
La saison cyclonique 2016/2017 du bassin sud-ouest de l'océan indien est exceptionnellement calme. Alors que nous sommes déjà à la mi-janvier, aucun système n'a vu le jour depuis la dépression subtropicale Bransby en octobre 2016. Nous nous sommes donc amusés à fouiller les archives histoire de voir ce qu'il y avait dans le bassin sud-ouest de l'océan indien lors des 4 derniers 14 janvier.

Les saisons peu actives dans le bassin sud-ouest depuis 30 ans
30/12/2016
Cette première partie de la saison cyclonique 2016/2017 du bassin sud-ouest de l'océan indien est particulièrement pauvre en activité. Dans ces prévisions publiées à la mi-novembre, Météo France tablait sur une saison avec une activité cyclonique inférieure à la moyenne saisonnière. Néanmoins, une saison peu active ne signifie pas absence de danger, bien au contraire.

Décembre 2006 un mois marqué par le puissant cyclone BONDO
18/12/2016
Il y a 10 ans, le Cyclone Tropical Très Intense BONDO évoluait dans le bassin sud-ouest de l'océan indien. Premier système majeur, mais aussi première menace sérieuse de la saison cyclonique 2006/07 pour les terres habitées. Ce cyclone aura impacté sur son trajet la dépendance mauricienne d'Agalega, les Îles extérieures Seychelloises et tout le nord-ouest de Madagascar. BONDO fut le cyclone le plus puissant de cette saison cyclonique.

Il y a 20 ans la Réunion et Maurice sous la menace de DANIELLA
07/12/2016
Il y a 20 ans, au début du mois de décembre 1996, les grandes Mascareignes vont se retrouver sous la menace directe d'un cyclone dénommé DANIELLA. Cette situation peu habituelle survient au cours d'une saison 1996/97 précoce, puisque le premier système baptisé de la saison l'a été dès le mois d'octobre avec ANTOINETTE. Retour sur cet épisode peu banal.

1996/97 une saison remarquable
21/09/2016
Il y a 20 ans, le bassin sud-ouest de l'océan indien nous sortait une saison cyclonique plus qu'intéressante, le genre de saison qui devrait plaire à tous les passionnés de cyclone. Voici 5 raisons qui montrent pourquoi la saison 1996/97 fut à la fois remarquable et dramatique.

07/04/2016
Nous sommes au mois d'avril 1996 et on aborde la dernière ligne droite de la saison 1995/96. Alors que Rodrigues en était quitte pour une belle frayeur avec le cyclone FLOSSY, voilà que pointe une nouvelle menace nommée HANSELLA.

Les cyclones marquants du mois d'Avril dans l'océan indien sud-ouest
31/03/2016
Si un parfum de fin de saison cyclonique flotte en avril dans le bassin sud-ouest de l'océan indien, ce mois est loin d'être aussi pacifique que certains pourraient le croire. Du cyclone de 1892 à Maurice, à la forte tempête FAKIR en 2018, retour sur ces épisodes cyclonique qui ont frappé les esprits en avril.

15/03/2016
La saison 1985/86 a été marquée par l'épisode HONORININA. En plein mois de mars et donc au cœur de la saison cyclonique, ce cyclone atteindra une intensité remarquable avant de frapper de plein fouet Madagascar qui, une nouvelle fois, n'en ressortira pas indemne. C'était il y a 30 ans.

05/02/2016
Il y a 10 ans, le cyclone BOLOETSE frôlait le sud-ouest de Madagascar. A Tuléar, les rafales ont atteint 144 km/h et le 3 Février, 130 mm sont tombées en 24H sur la ville de Morombe. Le bilan humain faisait état de 6 décès et plus de 6.000 sinistrés.

20/01/2016
Il y a 40 ans, le cyclone DANAE (né TERRY en zone Australienne) semait la désolation dans le bassin sud-ouest de l'océan indien. Dans les années 70, les images satellites ne sont pas légions et les informations sur les systèmes sont peu nombreuses voir pas très fiables. Néanmoins, grace au service météorologiques de l'époque et à une vieille étude de l'UNEP, nous avons quelques informations intéressantes sur le déroulement des évènements.

10/01/2016
BONITA, un cyclone que les moins de 20 ans ne peuvent pas connaître et qui pourtant, raisonne dans la mémoire des Malagasy et des passionnés que nous sommes, comme une véritable claque. Alors que la saison 1995/96 avait démarré en fanfare au mois de novembre avec le Super Cyclone AGNIELLE, le bassin sud-ouest de l'océan indien était comme anesthésié, avec aucun système baptisé au cours du mois de décembre 95. Mais, son réveil va s'avérer aussi brutal que violent.

07/01/2016
Le 7 Janvier est une date spéciale pour la Réunion, dans la mesure où par le plus grand des hasards, l'île a été impactée par 3 systèmes à cette même date : 7 Janvier 1966 (DENISE), 7 Janvier 1979 (BENJAMINE) et 7 Janvier 1981 (FLORINE). Mais celui qui retient notre attention aujourd'hui est le cyclone DENISE, dont l'œil a traversé la Réunion. Revenons en détails sur cet épisode grâce à une étude très intéressante, réalisée par les services météorologiques de l'époque. Nous sommes 4 ans après le fameux Cyclone JENNY. Pas de satellites géostationnaires apportant des images régulière comme aujourd'hui, ni de modèles de prévisions numériques.

20/11/2015
Novembre 1995, dans la partie sud-est de l'océan indien, une cyclogenèse se met en place. Celle-ci aboutira quelques jours plus tard, sur un système marquant de l'océan indien. D'abord DARYL, puis AGNIELLE en traversant le 90E, ce cyclone ouvre la saison 1995/96 sur les chapeaux de roues, en atteignant le stade de cyclone très intense aussi tôt dans la saison.

07/02/2015
Quand vous parlez du cyclone GERVAISE à un Mauricien, vous comprendrez tout de suite qu'il s'agit d'un cyclone qui a bien marqué les esprits à Maurice. L'histoire de GERVAISE commence au sud-est de DIEGO GARCIA, le 1er février 1975. Quelques jours plus tard, le cyclone frappera de plein fouet l'île Maurice. C'était il y a 40 ans.

23/11/2014
Il y a 10 ans, le 21 novembre 2004, était baptisé BENTO lors de la saison cyclonique 2004/05 dans l'océan indien sud-ouest. Retour sur ce système qui aura marqué cette saison par son intensité. Rappelons que cette même année 2004, avait vu au mois de mars évoluer l'un des systèmes les plus puissants de l'histoire cyclonique du bassin sud-ouest de l'océan indien avec GAFILO. Le JTWC a émis son premier TCFA (tropical cyclone formation alerte) concernant BENTO le 20 novembre 2004 à 0830 UTC et son premier warning le 21 novembre à 0600 UTC.

CTTI 05B d'Orissa, octobre 1999
29/10/2014
Il y a 15 ans jour pour jour, le cyclone très intense 05B, frappait les côtes indiennes de l'Orissa et semait la désolation. Depuis l'ère satellitaire et même selon les archives de la météo indienne qui remontent au XIXe, 05B-1999 (pas encore de baptême à l'époque) est le plus puissant cyclone à avoir frappé une des régions de la Grande Péninsule. Dire que 12 jours plus tôt, le cyclone intense 04B frappait la région juste 200kms plus au sud!

07/03/2014
Mars 2004, c'était il y a 10 ans déjà, mais nous nous en souvenons comme si c'était hier. Alors que nous sommes au cœur de la saison 2003/04, tous les indices convergent vers la survenue d'un épisode cyclonique majeur, quelques semaines après le cyclone intense FRANK. Si nous nous attendions à un phénomène particulièrement intense, la réalité est allée bien au-delà, avec des conséquences dramatiques sur les populations, notamment pour Madagascar, déjà sérieusement secoué par la forte Tempête ELITA fin Janvier.

02/02/2014
Aujourd'hui, cela fait 20 ans jour pour jour que la côte Est de Madagascar a été impactée directement par le cyclone GERALDA, provoquant la mort de 271 personnes et des dégâts importants dans la région de Tamatave. Ce cyclone est un des (ou le) plus puissant du bassin sud ouest de l'océan indien, en tout cas depuis le début de l'ère satellitaire.