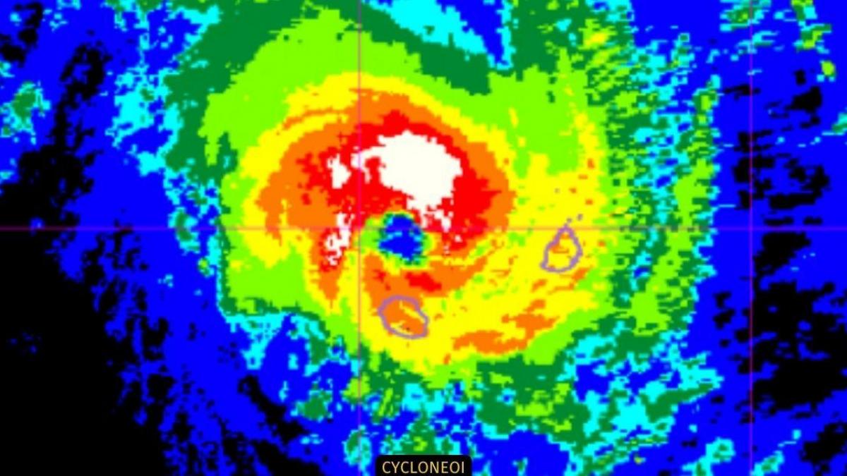
La Réunion est en alerte cyclonique violette depuis 6h. Le département sera directement frappé par le mur de l'œil. Le scénario de scénario de vents de 200 km/h sur le littoral et supérieur à 250 km/h dans les hauts habitées est donc confirmé.
Sur le même sujet
INSCRIVEZ-VOUS AU SERVICE ALERTE PAR MAIL
Comment ça marche ?
Commentaires
-
Voici donc BELAL Cyclone Tropical évoluant sur le bassin Sud Ouest de l'Océan Indien. 35 ans plus tard c'est donc à FIRINGA qu'il ressemble, à la différence d'une arrivée par l'Ouest de notre Île Intense. Elle porte plus que jamais ces lettres de noblesse, qui comme Météo-France-Réunion a déclarer : "BELAL marquera durablement La Réunion". Pas besoin de rappeler la signification de l'arrivée d'un péril cyclonique par l'Ouest, les Réunionnais et tous ceux qui vivent ici le savent bien ! Faites tous bien attention à vous ! Nu ar trouv !
Ajouter un commentaire
