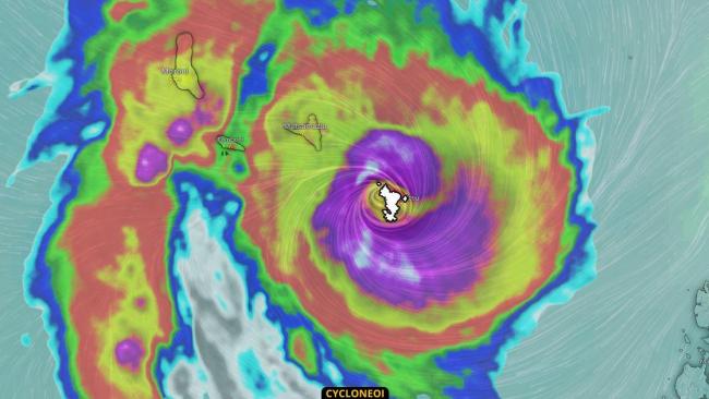
Le cyclone CHIDO a laissé une traînée de désolation sur son passage. Après avoir frappé durement Mayotte, c'est au tour du Mozambique d'en subir les conséquences. Ce nouvel impact vient s'ajouter à une liste toujours plus longue de catastrophes cycloniques qui frappent le Mozambique.
