20 ans de cyclone en image haute résolution

20 ans de cyclone en image haute résolution

Le 16/06/2018 à 10:36 1

Dans Cyclones du passé

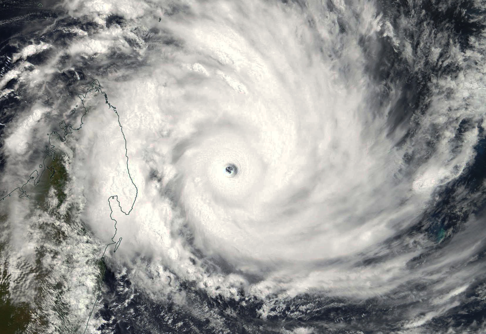
Depuis près de 20 ans, de puissants instruments d'observations installés abord des satellites TERRA et AQUA, permettent de disposer d'images quotidiennes en haute résolution de l'ensemble du globe. Voici une sélection de cyclones tropicaux du sud-ouest de l'océan indien capturés par ces satellites.

Un outil incontournable

L'instrument MODIS (Moderate Resolution Imaging Spectroradiometer) installé abord des satellites TERRA et AQUA de la NASA, lancés respectivement en 1999 et en 2002, permettent la prise d'image en haute résolution depuis deux décennies. Ces images parfois spectaculaires sont accessibles à tous et gratuitement, via l'application WorldView.

Si l'application est disponible que depuis 2012, vous avez la possibilité d'explorer de manière interactive toutes les images archivées depuis près de 20 ans. La simplicité d'utilisation et la quantité d'images disponibles de toutes sortes, rendent cette application incontournable.

Application WorldView de la NASAPour illustrer les possibilités offertes par WorldView, voici une petite sélection d'images en haute résolution de cyclones ayant évolué dans le sud-ouest de l'océan indien au cours de ces 20 dernières années, capturés par ces satellites.

Commentaires

  • Mia

    1 Mia Le 29/06/2023

    Très bien !
    Avec tout ce matériel, nous pouvons mieux prédire ce qui se passe au-dessus de nos têtes !
    Une fois n'est pas coutume, tout est aussi une question d'interprétation de l'imagerie en tenant compte des conditions atmosphériques, il est impératif de connaître "les courants d'air ! "

Ajouter un commentaire

Anti-spam