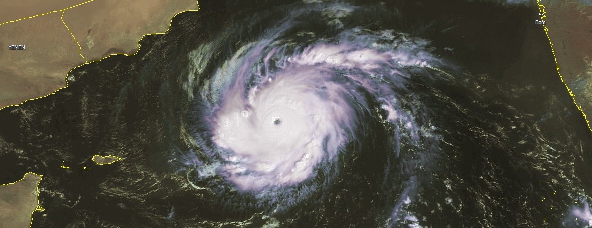
Quelques jours après que le Super Cyclone PATRICIA ait secoué la planète cyclone, voilà que l’océan indien se réveil brutalement. Le cyclone CHAPALA est en train d’affoler les compteurs en Mer d’Arabie. Ce bassin plutôt habitué à voir des systèmes d’intensité majoritairement modérée, va peut-être nous sortir un cyclone très intense (CAT.4).

Image kobus Botha du 30 OCT 2015 à 06 UTC
